Property Description
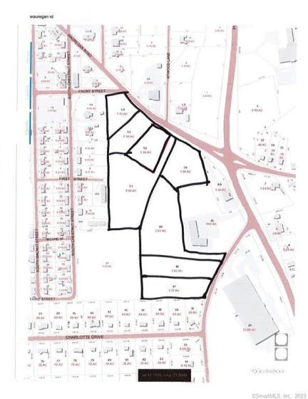
Commercial land located at the Wauregan four corners. Prime spot for development. The 16.9 acres is a combination of 8 lots. Some lots may be able to sell individually. Dollar General is located across the way. Located near the old C & M Corporation and in the area of other Commercial Industrial Buildings.
Features
- Fireplaces Total:
- 0
- Parking Total Spaces:
- 0
- Location:
- Other
- Lot Description:
- Corner Lot
- Water Source:
- Public Water In Street
Address Map
- Street:
- Wauregan
- Street Number:
- 0
- Floor Number:
- 0
- Longitude:
- W72° 5′ 26.7”
- Latitude:
- N41° 44′ 39.4”
MLS Addon
- Office Name:
- RE/MAX Bell Park Realty
- Agent Name:
- Cary Marcoux
- List Agent MLSID:
- EMARCOUXC
- List Office MLSID:
- RXBP01
- Tax Year:
- July 2021-June 2022
- Directions:
- Route 12 to 205
- HOA Fee Amount:
- $0
- Parcel Number:
- 999999999
- Property Tax:
- $6,600
- Zoning:
- C1
Lots And Land For Sale
0 Wauregan, Plainfield, 06374
0 Bedrooms
0 Bathrooms
0 Sqft
$750,000
Listing ID #24143170
Basic Details
- Property Type :
- Lots And Land For Sale
- Listing Type :
- For Sale
- Listing ID :
- 24143170
- Price :
- $750,000
- Bedrooms :
- 0
- Bathrooms :
- 0
- Half Bathrooms :
- 0
- Square Footage :
- 0 Sqft
- Year Built :
- 0
- Lot Area :
- 16.90 Acre
- City:
- Plainfield
- Zipcode:
- 06374
- Property Sub Type :
- Commercial Land
Agent info
RE/MAX Right Choice
43 South Main Street, Newtown CT 06470
- Ben Keeney
- View website
- 203-313-0013
- 866-886-0013
-
-
Mortgage Calculator
Contact Agent
